Service Guide

Get Ants Extermination Service

Local contractors can handle ant infestations, including removal, prevention, and treatment for homes and businesses experiencing ant-related problems.

Ants extermination services are a common concern for property owners looking to protect their homes and businesses from unwanted pests. Whether dealing with a small invasion or a persistent colony, finding the right local contractors can help address the issue effectively. Exploring your options ensures you can compare different approaches and identify service providers experienced in managing ant problems specific to your area’s conditions.

Property owners often seek professional assistance to prevent damage, maintain cleanliness, and ensure a safe environment. By reviewing local ants extermination services, you can plan your pest control efforts with confidence and select service providers equipped to handle your needs. Keep reading to learn how to connect with experienced local contractors who can assist with your pest management goals.

Get Ants Extermination Service Quotes

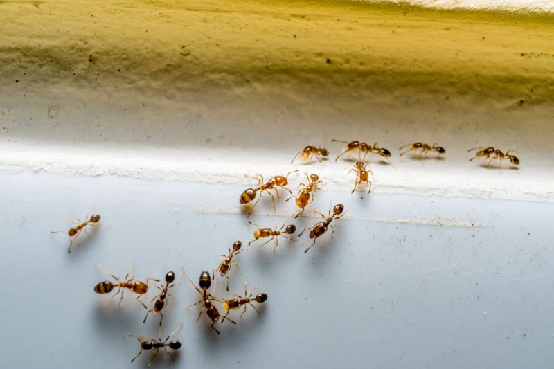
  • Ants Extermination - needed when ants invade kitchens or food storage areas.
  • Ants Prevention - required to stop future ant infestations around the home or property.
  • Ants Inspection - essential for identifying ant colonies and entry points before treatment.
  • Ants Treatment - necessary when ant populations have become overwhelming or hard to control.
  • Ants Removal - sought after when ants have established nests inside walls or hard-to-reach places.
Ants Extermination Service
Ants Extermination Service
Ants Extermination Service

Ants extermination services involve identifying and eliminating ant infestations within residential or commercial properties. These services typically include thorough inspections to locate ant colonies and entry points, followed by targeted treatments to eradicate both visible ants and their nests. The goal is to remove the pests effectively and prevent future invasions through the application of appropriate methods tailored to the specific type of ant problem.

Ant problems can cause significant frustration for homeowners, especially when ants invade kitchens, pantries, or other areas where food is stored. Common issues include large colonies that can quickly multiply, damage to property or insulation, and contamination of food supplies. Ant extermination services help resolve these issues by eliminating the source of the infestation, reducing the risk of recurring problems, and restoring comfort and safety to the living or working environment.

These services are often used in a variety of property types, including single-family homes, apartment complexes, condos, and small commercial buildings. Any property experiencing persistent ant activity or signs of an infestation-such as trails, nests, or ant sightings-may benefit from professional treatment. Property owners who notice increased ant activity during warmer months or near food storage areas are encouraged to seek expert assistance to address the problem effectively.

Professional ant extermination services typically involve the use of specialized treatments that target the entire colony, including hidden nests that are not easily accessible. Service providers assess the extent of the infestation and recommend the most appropriate approach, which may include baiting, residual sprays, or other methods. Engaging local contractors ensures that the treatment is tailored to the specific ant species and property conditions, helping to eliminate the problem efficiently and reduce the likelihood of future invasions.

The overview below groups typical Ants Extermination Service projects into broad ranges so you can see how smaller, mid-sized, and larger jobs often compare in your area.

In many markets, a large share of routine jobs stays in the lower and middle ranges, while only a smaller percentage of projects moves into the highest bands when the work is more complex or site conditions are harder than average.

Basic Ant Removal - Most routine ant extermination jobs typically cost between $250 and $600. Many projects fall within this range, covering common household infestations with standard treatments. Larger or more stubborn ant problems may push costs higher, but these are less common.

Localized Treatments - For targeted ant control in specific areas, local service providers often charge between $150 and $400. This price range is typical for small to medium-sized spaces where minimal treatment is needed. Extensive or multiple-site treatments can increase the overall cost.

Full Property Extermination - Complete extermination of ants across an entire property usually ranges from $600 to $1,500. Many larger homes or properties with severe infestations may see costs in this band, while smaller or less complicated jobs are usually less expensive.

Ongoing Prevention Programs - Long-term ant prevention services, including multiple visits and inspections, generally cost between $300 and $800 annually. These plans are common for homeowners seeking to maintain ant-free environments, though prices vary based on property size and infestation severity.

Actual totals will depend on details like access to the work area, the scope of the project, and the materials selected, so use these as general starting points rather than exact figures.

Get a Quote

Pest Control for Spiders - local contractors use similar techniques and tools to identify and eliminate spider infestations, ensuring safe and effective removal.

Rodent Extermination - professionals employ planning and trapping methods comparable to ant control to address rodent problems in residential and commercial spaces.

Termite Treatment Services - specialized planning and application of treatment methods align with ant extermination strategies to protect structures from damage.

Bed Bug Removal Projects - these projects require detailed inspection and targeted treatments, similar to the approach used in ant control services.

Cockroach Control Services - addressing cockroach infestations involves planning and pest management skills akin to those used in ant extermination.

Wildlife Exclusion Projects - securing entry points and planning removal strategies are skills shared with ant control services to prevent pest re-entry.

Ants Extermination Service

When comparing local contractors for ant extermination services, it’s important to consider their experience with similar projects. Ask about the types of ant infestations they have handled and how long they have been providing pest control solutions in the area. An experienced service provider will have a better understanding of common ant behaviors and effective treatment methods, which can contribute to a more efficient and successful outcome. Ensuring that the contractor has a proven track record with ant extermination can help identify those who are well-versed in managing the specific challenges posed by different ant species.

Clear written expectations are essential when evaluating potential service providers. A reputable contractor should be able to provide a detailed description of the services offered, including the scope of work, methods used, and any preparations needed before treatment. This transparency helps establish a mutual understanding of what the job entails and can prevent misunderstandings later on. Homeowners should seek out providers who communicate their process clearly and are willing to answer questions, ensuring that expectations are aligned from the outset.

Reputable references and good communication are key indicators of a reliable local contractor. Asking for references from previous clients can offer insights into the contractor’s professionalism, quality of work, and ability to meet deadlines. Additionally, responsive and clear communication during initial inquiries can reflect how the contractor will interact throughout the project. Since this site introduces homeowners to local options rather than performing the work itself, it’s important to choose a service provider known for their dependability and effective communication, which can contribute to a smoother, more satisfactory experience.

Get an Ants Extermination Service Quote

Property owners use Ants Extermination Service services for practical projects around their homes and businesses. This guide focuses on everyday jobs and straightforward project options.

Ants Extermination Service
Ants Extermination Service

Ants can quickly become a nuisance for property owners dealing with common household or outdoor issues. Whether ants are invading kitchens, contaminating food supplies, or nesting in garden areas, many seek the help of experienced service providers to handle the problem effectively. Local contractors offer solutions tailored to address these everyday situations, helping to restore comfort and prevent further infestations.

Property owners often turn to local service providers when ants appear unexpectedly or multiply rapidly, making routine cleaning and pest control measures insufficient. These professionals are equipped to identify the source of the infestation and implement targeted treatments to eliminate ants from residential or commercial spaces. Connecting with local experts ensures that the job is handled efficiently and with appropriate methods suited to the specific needs of the property.

Get an Ants Extermination Service Quote

What are common signs of an ant infestation? Signs include visible ant trails, small piles of dirt or debris near entry points, and the presence of ants inside the home or building.

How do local contractors typically handle ant extermination? They often use targeted treatments such as bait stations, sprays, or dusts to eliminate ants and their colonies effectively.

Are there preventive measures to avoid future ant problems? Yes, contractors may recommend sealing entry points, removing food sources, and keeping areas clean to reduce the likelihood of ant invasions.

What types of ants are usually targeted by extermination services? Common targets include odorous house ants, carpenter ants, and pavement ants, among others.

How can I find local service providers for ant extermination? Use local lead generation services to compare and connect with nearby contractors experienced in ant control solutions.

Preventive Ant Control - property owners can schedule regular inspections to catch ant issues early and prevent infestations.

Kitchen and Pantry Protection - homeowners can seek professional services to treat common entry points and keep food areas ant-free.

Garden and Yard Treatments - gardeners and landscapers can utilize local contractors to manage ant populations around outdoor spaces.

Structural Ant Exclusion - property managers can work with service providers to seal entry points and protect buildings from ant intrusion.

Ants Extermination Service

If you are thinking about Ants Extermination Service for a property, this guide is meant to help you understand the work, the typical project types, and how different options might fit your plans.

When you are ready, you can use the quote form on this page to share a few details about your project. From there, local pros can review the basics and respond with options that match what you have in mind.

Get a Quote

Ants Extermination Quotes